153 E 43rd St 32208 Pending

  • $85,000
  • 2 beds
  • 1 baths
  • 1,032 sqft

For photo link, click, HERE

Hot value add opportunity! This 2/1 home offers 1,032 sq ft of living space in the Panama Park neighborhood, featuring a carport plus a detached garage with existing plumbing and electrical – ideal for a potential ADU conversion. With the square footage to reconfigure into a 3/1, this property is well positioned for a value-boosting renovation. A strong option for investors or buyers looking to renovate and maximize upside!

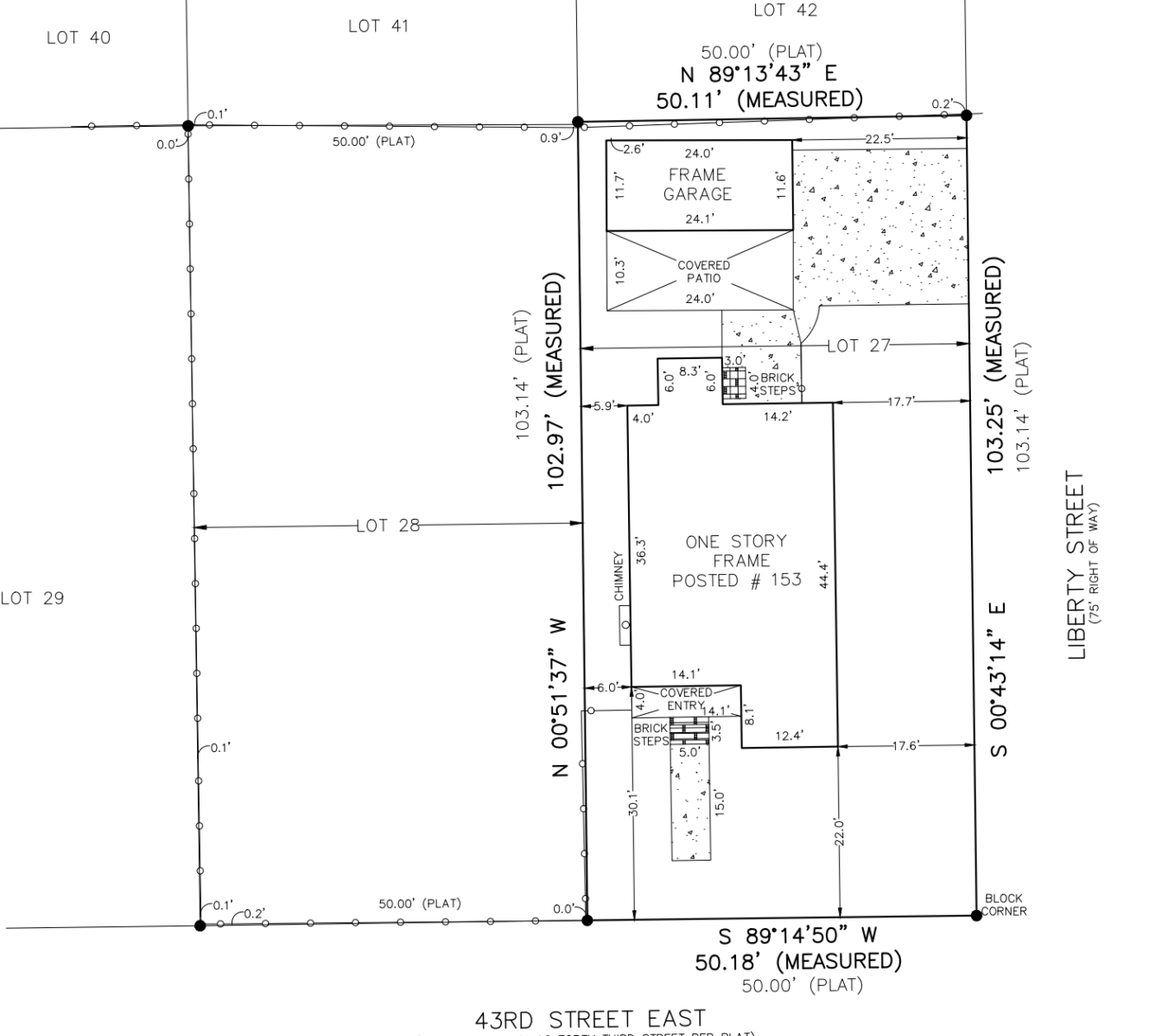
*** Please note that this sale will only include the lot the house sits on and not the full lot included on the property appraiser. See image above for the lot details ***

Utilities: City water & sewer.

Looking forward to connecting with you!

Comps: 

  • 257 E 47th St, Jacksonville, FL 32208 – 2 beds / 1 bath / 948 sq ft –  Sold for $165,000 on 6/11/2025 (Flipped)
  • 206 E 45th St, Jacksonville, FL 32208 – 3 beds / 1 bath / 974 sq ft – Sold for $163,500 on 6/25/2025 (Flipped)
  • 213 W 43rd St, Jacksonville, FL 32208 – 3 beds / 1 bath / 936 sq ft –  Sold for $95,000 on 9/12/2025 (Needed full rehab)
  • 5434 Alta St, Jacksonville, FL 32208 – 2 beds / 1 bath / 981 sq ft – Sold for $100,000 on 11/10/2025 (Needed full rehab)

Appraiser Link: Property Appraiser – Property Details (coj.net)
Tax Records Link: Account Summary — – TaxSys – Duval County Tax Collector (county-taxes.com)

Price:
$85,000
Address:
153 E 43rd St
Jacksonville, FL 32208
Square Feet:
1,032
Lot Size:
11,123
Bedrooms:
2
Bathrooms:
1
Terms:
For Sale
Property Type:
Home
Year Built:
1936
Const. Type:
7 Cem Fib Shing

Call 904-780-9006 for more details

Property Location